कैसे पड़ते हैं इन खतरनाक चक्रवातों के नाम, क्या है इसके पीछे का इतिहास जानें यहां

कैसे पड़ते हैं इन खतरनाक चक्रवातों के नाम, क्या है इसके पीछे का इतिहास जानें यहां

Published : May 21, 2020, 03:57 PM IST

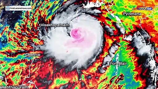
कोरोना वायरस से जूझ रहे देश के सामने सुपर साइक्लोन अम्फान बड़ी चुनौती बनकर खड़ा हो गया है. यह तूफान महाचक्रवात का है जो आज पश्चिम बंगाल से टकरा चुका है. एनडीआरएफ की 53 टीमें राहत और बचाव कार्य में मदद कर रही हैं. लेकिन क्या आपने कभी ये सोचा कि इन चक्रवातों के नाम आखिर इतने अजीबोगरीब क्यों होते हैं? इनके ऐसे नाम क्यों रखे जाते हैं? इसके पीछे की कहानी क्या है? नहीं? तो आईए हम आपको बताते हैं कि आखिर इसके पीछे क्या वजह है. फिलहाल इस बार इस चक्रवाती तूफान को एम्फान नाम दिया गया है। तूफान को ये नाम थाईलैंड ने दिया है और एम्फान का मतलब होता है आकाश.

कोरोना वायरस से जूझ रहे देश के सामने सुपर साइक्लोन अम्फान बड़ी चुनौती बनकर खड़ा हो गया है. यह तूफान महाचक्रवात का है जो आज पश्चिम बंगाल से टकरा चुका है. एनडीआरएफ की 53 टीमें राहत और बचाव कार्य में मदद कर रही हैं. लेकिन क्या आपने कभी ये सोचा कि इन चक्रवातों के नाम आखिर इतने अजीबोगरीब क्यों होते हैं? इनके ऐसे नाम क्यों रखे जाते हैं? इसके पीछे की कहानी क्या है? नहीं? तो आईए हम आपको बताते हैं कि आखिर इसके पीछे क्या वजह है. फिलहाल इस बार इस चक्रवाती तूफान को एम्फान नाम दिया गया है। तूफान को ये नाम थाईलैंड ने दिया है और एम्फान का मतलब होता है आकाश.

09:34वोट चोर, गद्दी छोड़ रैली : कांग्रेस-BJP की आर-पार की लड़ाई, Sambit Patra-Pramod Tiwari की जुबानी जंग
05:275 दिसंबर सुबह की बड़ी खबरें: दिल्ली में सांस लेना मुश्किल! इंडिगो फ्लाइस्ट्स के यात्री क्यों परेशान?
03:45गडकरी का बड़ा धमाका! अगले 1 साल में देशभर से टोल बूथ गायब? सच जानिए…
03:25PM Modi के बयान पर क्यों भड़क गया विपक्ष? Sonia और Priyanka Gandhi ने जमकर सुना डाला
04:15सनी देओल और बॉबी ने नहीं तो किसने किया Dharmendra Ji की अस्थियों का विसर्जन?
03:19‘जिहाद करना पड़ेगा…’ संसद में गूंजी विवादित आवाज — देखें पूरा वीडियो
02:43पेट्रोल को लेकर नितिन गडकरी ने दिया बहुत बड़ा अपडेट!
04:18दुनियाभर के विद्वान हैरान! जो सदियों में एक बार हुआ, काशी के युवक ने उसे कर दिखाया
02:48जय श्रीराम, अस्सलामु अलैकुम... LokSabha में नारों पर भड़के Om Birla | Parliament Winter Session
03:23CM Omar ने Vaishno Devi Medical College में मुस्लिम आरक्षण पर दिया बड़ा बयान